串本ダイビングパーク本日の海情報一覧
串本ダイビングパーク本日の海情報一覧
本州屈指のダイビングスポット
- スノーケリング・遊泳
- スノーケリング
- 宿泊コテージ
- S棟(2~5名)
- L棟(2~8名)
- 最新情報
- ダイビングパークからのお知らせ (3)
- 写真コーナー (49)
- 本日の海情報 (213)
- 串本ポイントマップ
- 串本ダイビングパーク前ビーチ
- 施設案内
- フロント棟(ビジターセンター)
- 設備棟(ロッカー・シャワー)
- ログハウス休憩室
- リンク
- 串本ダイビング事業組合
- 串本海中フォトコンテスト
7月10日(水)
|
|
晴れ |
|
21~25℃ |
|
30℃ |
|
10m | ||
|
|
西 |
|
大潮 |
|
イスズミ礁の西 | ||||

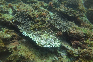
今日も昨日に引き続きオニヒトデ駆除に参加してきました。
昨日の取り残しが近くにあったとの話で、昨日より少し西の浅い根で駆除を行いました。
串本エリアでは冷たい水が沿岸に近付いているのか、
とくに海底近くの水温が低く、22℃以下のところもありました。

左の写真、右下に食べられたサンゴが黄色くなっています。
大きなオニヒトデが隠れているのはどこでしょう? 右は拡大したもの。
大きなオニヒトデが普通に見つかっていることを考えると、
まだまだオニヒトデによるサンゴの被害は収まりそうにないようです。
7月9日(火)
|
|
晴れ |
|
22~25℃ |
|
33℃ |
|
10m | ||
|
|
西 |
|
大潮 |
|
イスズミ礁の西 | ||||

梅雨が明けて、真夏の日差しの中、久しぶりにオニヒトデ駆除に参加してきました。
今日は環境省のレンジャーの方々も参加して、イスズミ礁の西の浅い根を中心に潜りました。
水面付近は25℃以上で暖かかったけど、水深10mを超えると肌寒さを感じました。

白くなったエンタクミドリイシの下に直径20cmのオニヒトデが隠れていました。
そろそろ夏まっさかり。
今週でいっぱいで、春からのオニヒトデ駆除も一旦終了となるそうです。
7月8日(月)
|
|
晴れ |
|
25℃ |
|
34℃ |
|
12m | ||
|
|
西 |
|
大潮 |
|
- | ||||

7月6日(土)の夜、ログハウスに宿泊しているお客様に向けた
水族館でのウミガメ産卵観察会を開催しました。
母親ガメが上陸するまでに、水族館の吉田研究員からウミガメの産卵生態などの話を聞きました。
その後、真っ暗闇の中で待ち続けたところ、9時ごろから親ガメが上陸を始めました。
そして、10時ごろ、アカウミガメの産卵が始まりました(超ラッキー!!)。
辛抱強く待ち続けた8名のお客様と一緒に産卵の様子を観察することができました。

左の写真は砂浜に光が届かないところでのウミガメ解説、右の写真は産卵の様子を観察・撮影する参加者。
(産卵が始まってからは、ライトをつけても、話し声があっても大丈夫。ウミガメに触ることもできました。)
このイベントは土曜日にログハウスに宿泊されたお客様の限定となっています。
午後8時から9時の予定ですが、ウミガメの状況によって延長することもあります。
7月の土曜日はあと3回(13日、20日、27日)、次の観察会でも産卵シーンが見られるでしょうか?
6月23日(日)
|
|
曇り/雨 |
|
22~24℃ |
|
21~23℃ |
|
10~15m | ||
|
|
西 |
|
大潮 |
|
住崎・イスズミ礁・グラスワールド | ||||

若干台風の影響が残りつつも、ダイビングはビーチボート共に開催できました。
ただ昨日までの長雨のおかげで、水面付近の水は少し濁りぎみ!と言っても
午後には徐々にですが、濁りが緩い出来ていたように思います。
さてさて、来週・再来週と「おさかな勉強会in串本」を開催します。
まだまだ募集中ですので、予定が決まっていない人は是非参加してね~。
詳しくはこちらhttp://www.kushimoto.co.jp/diving/2013/06/in.php

アカハタ、アマミスズメ、キハッソク、フリソデエビ、コイボウミウシ、イガグリウミウシ
オルトマンワラエビ、テングダイ、コロダイ、アザハタ、クロホシイシモチ、キンメモドキ
キンチャクダイ、クエ、アブラヤッコ、ナメラヤッコ、カンムリベラ、テンス、イサキ、ゴンズイ
ジョーフィシュ、ウミウシカクレエビ、ハナゴンベ、ハナゴイ、イナセギンポ、ハタタテハゼ
アオスジテンジクダイ、セナキルリスズメ、キンセンイシモチ、アカヒメジ、カゴカキダイ etc
6月10日(月)
|
|
曇り |
|
22~23℃ |
|
19~21℃ |
|
16~18m | ||
|
|
北東 |
|
大潮 |
|
備前・イスズミ礁 | ||||

本日は朝から曇り空。
少しずつですが台風3号の足音が聞こえだし、ビーチではうねりが
入ってきた様子でした。
水中はまだまだ透明度が高い状態をキープしていて、ボートダイビングをするには
特にストレスなく潜れましたよ~。
台風接近で荒天になるであろう反面、南方からの珍客を期待したいと思います。

ウツボ、ウミスズメ、ソラスズメダイ、セナキルリスズメダイ、ダテハゼ、ハナハゼ
ハナアナゴ、アジの群れ、ハタタテハゼ、クロホシイシモチ、キンメモドキ、アザハタ
アオリイカのタマゴ、キハッソク、テングダイ、ホウライヒメジ、イサキの群れ、クエ
カンムリベラ、ハナキンチャクフグ、コロダイ、クマノミとタマゴ、チョウチョウウオ etc


